7 / 1
المعلومات
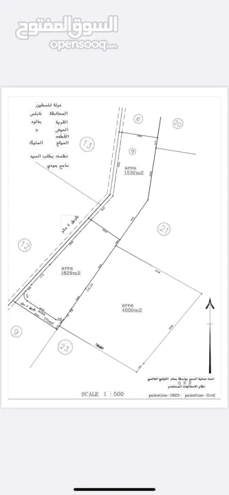
المدينة
نابلسالحي / المنطقة
قصرةمخصصة لـ
سكنيةمساحة الأرض
3400 متر مربعالواجهة
جنوبية غربيةهل العقار مرهون؟
لاالمعلن
المالكطريقة الدفع
كاشالقسم الرئيسي
عقارات للبيعالقسم الفرعي
أراضي للبيع
الوصف
ارض استثمارية بموقع عالي ومطل وبسعر
الارض بتجنن عليها طريق وطولها وعرضها ممتاز جداً
تصلح للإستثمار ولمشروع ڤلل ولكل شيء
المخطط موجود بالصور وكلشي واضح
الي معني يتواصل على الارقام او على الواتساب على السلكوم
رقم الواتس :0525528476
الجوال :إضغط ليظهر الرقم.. 05939095XX
إعلان رقم: 275420569







